REQUEST A TOUR If you would like to see this home without being there in person, select the "Virtual Tour" option and your agent will contact you to discuss available opportunities.
In-PersonVirtual Tour

$ 399,000
Est. payment /mo
Active
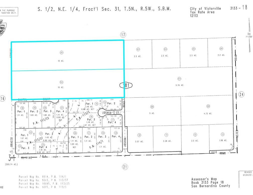
0 Braceo ST Victorville, CA 92371
20 Acres Lot
UPDATED:
Key Details
Property Type Vacant Land
Listing Status Active
Purchase Type For Sale
MLS Listing ID HD25199414
HOA Y/N No
Lot Size 20.000 Acres
Property Description
20 ac R-1 Land in the Path of Development. In this area of West Victorville, KB Home has broke ground on a 40 ac Tract (135 lots) at Monte Vista Rd & Luna Rd, Pacific Communities has almost completed their Model Homes and is currently constructing about 17 additional homes at Monte Vista Rd and Dos Palmas Rd (185 lots), and Richmond American has broke ground at Olivine & Mesa View (122 lots). Current projects are the first movement seen since 2008 in this area. Multiple projects also working on Tentative Maps. All great signs pointing towards the development of this area. The subject property. Parkview Specific Plan (owned by the Lewis Group), is located directed North and has plans for 715 homes, a 10 ac park, an 11 ac commercial center and a 12 ac school site. Snowline School District owns an adjacent 10 ac. Great opportunity to acquire land in West Victorville before development eventually takes off.
Location
State CA
County San Bernardino
Area Vic - Victorville
Zoning R-1
Interior
Fireplace No
Exterior
Community Features Rural
Utilities Available Water Not Available
View Y/N Yes
View Desert, Mountain(s)
Building
Lot Description Desert Front
Water None
New Construction No
Others
Senior Community No
Tax ID 3133181010000
Acceptable Financing Cash
Listing Terms Cash
Special Listing Condition Standard

Listed by Joshua Tate Majestic Land, Homes Investmen joshua@majestic-land.com







